Ovo savjetovanje je otvoreno od 11. ožujka 2022. do 22. ožujka 2022. godine. Nakon isteka roka više neće biti moguće ispunjavati Obrazac za savjetovanja i pisati komentare na ovu temu.
Prijedlog Odluke izrađen je u skladu s odredbama Zakona o unapređenju poduzetničke infrastrukture (NN 93/13, 114/13, 41/14, 57/18, 138/21 – dalje u tekstu: Zakon).
Prema propisanom u odredbi čl.3.t.1. Zakona, poduzetničke zone su dio ukupne poduzetniče infrastrukture, infrastrukturno opremljena područja definirana prostornim planovima, namijenjena obavljanju određenih vrsta poduzetničkih, odnosno gospodarskih aktivnosti. Osnovna karakteristika poduzetničkih zona je zajedničko korištenje infrastrukturno opremljenog i organiziranog prostora od strane poduzetnika kojima se poslovanjem unutar poduzetničke zone omogućuje racionalizacija poslovanja i korištenje raspoloživih resursa poduzetničke zone zajedno s ostalim korisnicima poduzetničke zone.
Prostorni obuhvat Radne zone Martane zapad Čakovec se podudara s gospodarskom namjenom koja je utvrđena Generalnim urbanističkim planom Grada Čakovca (Službeni glasnik Grada Čakovca broj 5/05, 1/09, 4/11, 6/14, 1/16, 3/16 i 1/17) i Urbanističkim planom uređenja „Martane – Istok“ u Čakovcu (Službeni glasnik Grada Čakovca broj 6/00, 2/15 i 2/18). Urbanističkim planom uređenja Radne zone detaljno je utvrđena namjena prostora, način i uvjeti gradnje te prostor za izgradnju infrastrukturnih građevina. Doneseni Urbanistički plan uređenja „Martane – Istok“ u Čakovcu je osnova za formiranje građevnih čestica u zoni.
Osnovne namjene prostora u zoni planirane su i utvrđene Urbanističkim planom uređenja „Martane – istok“ te definirane kao zona gospodarske, proizvodne, pretežito zanatske namjene.
Prostor Radne zone Martane zapad Čakovec komunalno je opremljen s energetskom infrastrukturom (niskonaponska mreža, djelomično javna rasvjeta, plin, plinska podstanica, priključci na javnu mrežu i/ili izgrađena trafostanica i drugi energetski priključci), komunalnom infrastrukturom (opskrba vodom, vodovodne i oborinske instalacije, kanalizacija i odvodnja – fekalna, oborinska, tehnološka, priključci na javnu mrežu), prometnom infrastrukturom (pristupne ceste, ceste unutar poduzetničke zone i dr.) i komunikacijskom infrastrukturom (telefonska i internetska, radio, TV mreža i dr.) i djelomično je izgrađen gospodarskim građevinama.
Stupanjem na snagu Odluke o osnivanju Radne zone Martane zapad Čakovec, stavlja se izvan snage Odluka o osnivanju Radne zone Martane Čakovec (Službeni glasnik Grada Čakovca br. 3/2015, 3/2021).
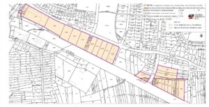
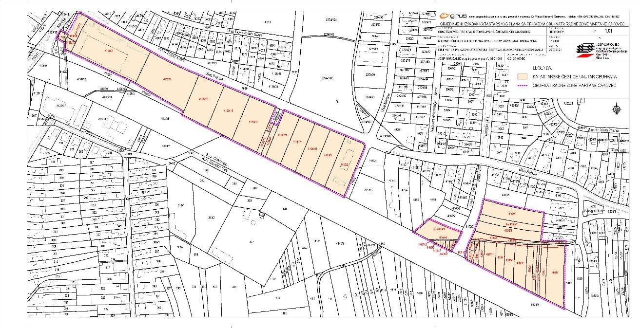
Slika 1: Kopija katastarskog plana s prikazom obuhvata Radna zona Martane Čakovec
Radna zona Martane zapad Čakovec jedinstvena je cjelina, sukladno propisanom u čl.6., toč.(2), Zakona, a obuhvaća zapadni dio Radne zone Martane Čakovec.
Stupanjem na snagu Odluke o osnivanju Radne zone Martane zapad Čakovec, sukladno čl. 12. Zakona, Zona se prijavljuje u Jedinstveni registar poduzetničke infrastrukture (JRPI), u Registar poduzetničkih zona.
Ministarstvo gospodarstva i održivog razvoja (dalje u tekstu: Ministarstvo), sukladno propisanom u čl. 6. Naputka o načinu korištenja Jedinstvenog registra poduzetničke infrastrukture (NN 86/18), obrađuje i analizira prijavu u JRPI, upisane i dostavljene podatke te pripadajuću dokumentaciju koja je temelj prijave u JRPI, a završetkom obrade odnosno verifikacijom podataka smatra se objava općih podataka u aplikaciji JRPI-a na mrežnoj stranici Ministarstva.
Verifikacija podataka od Ministarstva svih poduzetničkih zona Grada Čakovca prijavljenih u JRPI uvjet je za korištenje financijskih sredstava ostvarenih prijavama na natječaje za osiguranje sredstava potpora, poticajnih mjera, darovnica ili povlastica, uključujući i darovanje nekretnina u vlasništvu Republike Hrvatske.
Pozivamo Vas da se svojim komentarima i prijedlozima uključite u ovo Savjetovanje i pomognete nam da izmjeni Odluke pristupimo uzimajući u obzir Vaša razmišljanja.
Svoje prijedloge možete poslati ispunjavajući formular za savjetovanja sa zainteresiranom javnošću koji možete poslati na adresu esavjetovanja@cakovec.hr
Jednako tako, možete se uključiti upisujući svoje prijedloge i ideje u obrazac za savjetovanje.
![]()

