Ovo savjetovanje je otvoreno od 11. ožujka 2022. do 22. ožujka 2022. godine. Nakon isteka roka više neće biti moguće ispunjavati Obrazac za savjetovanja i pisati komentare na ovu temu.
Prijedlog Odluke o osnivanju Radne zone Martane istok Čakovec izrađen je u skladu sa Zakonom o unapređenju poduzetničke infrastrukture (NN RH 93/13, 114/13, 41/14, 57/18, 138/21 – dalje u tekstu: Zakon).
Poduzetničke zone su člankom 3 stavak 1 točka 1 definirane kao infrastrukturno opremljena područja odnosno površine planirane prostornim planovima za poslovnu i/ili proizvodnu namjenu, namijenjena obavljanju određenih vrsta poduzetničkih, odnosno gospodarskih aktivnosti. Osnovna karakteristika poduzetničkih zona je zajedničko korištenje infrastrukturno opremljenog i organiziranog prostora od strane poduzetnika kojima se poslovanjem unutar poduzetničke zone omogućuje racionalizacija poslovanja i korištenje raspoloživih resursa poduzetničke zone zajedno s ostalim korisnicima poduzetničke zone.
Prostorni obuhvat Radne zone Martane istok Čakovec se podudara s gospodarskom namjenom koja je utvrđena Generalnim urbanističkim planom grada Čakovca (Sl. gl. Grada Čakovca 5/05, 1/09, 4/11, 6/14, 1/16, 3/16, 1/17, 3/17-proč. tekst) i Urbanističkim planom uređenja „Martane – Istok“ u Čakovcu (Sl. gl. Grada Čakovca 6/00, 2/15, 1/16-proč. tekst, 2/18, 3/18). Urbanističkim planom uređenja Radne zone detaljno je utvrđena namjena prostora, način i uvjeti gradnje te prostor za izgradnju infrastrukturnih građevina. Doneseni Urbanistički plan uređenja „Martane – Istok“ u Čakovcu je osnova za formiranje građevnih čestica u zoni.
Osnovne namjene prostora u zoni planirane su i utvrđene Urbanističkim planom uređenja „Martane – istok“ te definirane kao zona gospodarske, proizvodne, pretežito zanatske namjene.
Prostor Radne zone Martane istok Čakovec komunalno je neopremljen.
Stupanjem na snagu Odluke o osnivanju Radne zone Martane istok Čakovec, stavlja se izvan snage Odluka o osnivanju Radne zone Martane Čakovec (Sl. gl. Grada Čakovca 3/15, 3/21).
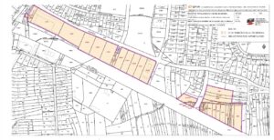
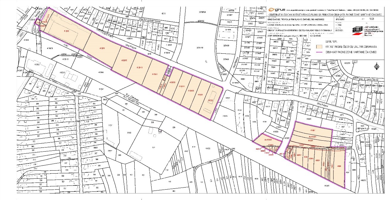
Slika 1: Kopija katastarskog plana s prikazom obuhvata Radna zona Martane Čakovec

Radna zona Martane istok Čakovec jedinstvena je cjelina, sukladno članku 6 točci 2, Zakona, a obuhvaća istočni dio Radne zone Martane Čakovec.
Stupanjem na snagu Odluke o osnivanju Radne zone Martane istok Čakovec, sukladno članku 12 Zakona, Zona se prijavljuje u Jedinstveni registar poduzetničke infrastrukture (JRPI), u Registar poduzetničkih zona.
Ministarstvo gospodarstva i održivog razvoja (dalje u tekstu: Ministarstvo), sukladno propisanom u članku 6 Naputka o načinu korištenja Jedinstvenog registra poduzetničke infrastrukture (JRPI – NN RH 86/18), obrađuje i analizira prijavu u JRPI, upisane i dostavljene podatke te pripadajuću dokumentaciju koja je temelj prijave u JRPI, a završetkom obrade odnosno verifikacijom podataka smatra se objava općih podataka u aplikaciji JRPI-a na mrežnoj stranici Ministarstva.
Verifikacija podataka od Ministarstva svih poduzetničkih zona Grada Čakovca prijavljenih u JRPI, uvjet je za korištenje financijskih sredstava ostvarenih prijavama na natječaje za osiguranje sredstava potpora, poticajnih mjera, darovnica ili povlastica, uključujući i darovanje nekretnina u vlasništvu Republike Hrvatske.
Pozivamo Vas da se svojim komentarima i prijedlozima uključite u ovo Savjetovanje i pomognete nam da izmjeni Odluke pristupimo uzimajući u obzir Vaša razmišljanja.
Svoje prijedloge možete poslati ispunjavajući formular za savjetovanja sa zainteresiranom javnošću koji možete poslati na adresu esavjetovanja@cakovec.hr
Jednako tako, možete se uključiti upisujući svoje prijedloge i ideje u obrazac za savjetovanje.
![]()
